Melissa: Ο «τυφώνας του αιώνα» σάρωσε τα πάντα στην Τζαμάικα και κατευθύνεται προς Κούβα, Μπαχάμες
Ο κυκλώνας έχει υποβαθμιστεί στην κατηγορία 4, ωστόσο συνεχίζει να προκαλεί εκτεταμένες ζημιές. Σε κατάσταση συναγερμού Κούβα και Μπαχάμες.
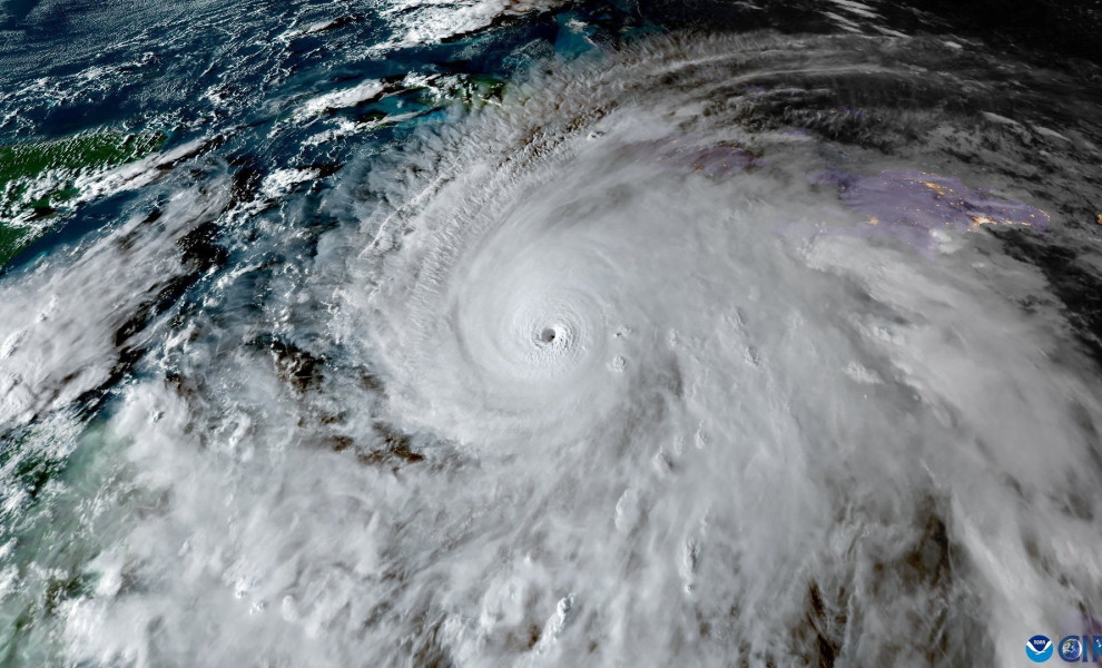
Το μάτι του κυκλώνα «Melissa» απομακρύνθηκε από την Τζαμάικα και κινείται πλέον προς τη Σαντιάγο ντε Κούβα, τη δεύτερη μεγαλύτερη πόλη της Κούβας, σύμφωνα με ανακοίνωση του Εθνικού Αμερικανικού Κέντρου Κυκλώνων (NHC).
«Η κατάσταση παραμένει εξαιρετικά επικίνδυνη», προειδοποιεί το NHC, καλώντας τους πολίτες να παραμείνουν σε ασφαλές σημείο.
Ο κυκλώνας, ο οποίος έχει χαρακτηριστεί ως ο «τυφώνας του αιώνα», έχει υποβαθμιστεί στην κατηγορία 4, ωστόσο συνεχίζει να προκαλεί εκτεταμένες ζημιές. Μάλιστα, πάνω από 500.000 κάτοικοι στην Τζαμάικα έχουν μείνει χωρίς ηλεκτρικό ρεύμα.
Εκτεταμένες καταστροφές στην Τζαμάικα
Ο πρωθυπουργός της χώρας, Άντριου Χόλνες, δήλωσε στο CNN ότι υπάρχουν σημαντικές ζημιές:
- σε νοσοκομεία
- σε κατοικίες και επιχειρήσεις
- στο οδικό δίκτυο
Μέχρι στιγμής δεν έχουν επιβεβαιωθεί θάνατοι, ωστόσο οι αρχές εκφράζουν φόβους ότι, με βάση την ισχύ του κυκλώνα και την έκταση των φαινομένων, ενδέχεται να υπάρξουν ανθρώπινες απώλειες.
Οι άνεμοι έχουν εξασθενήσει στα 233 χλμ/ώρα, αλλά η καταιγίδα εξακολουθεί να πλήττει ορεινές περιοχές, πιο ευάλωτες σε κατολισθήσεις και πλημμύρες.
Συναγερμός σε Κούβα και Μπαχάμες
Όπως σημειώνει το Reuters, ο τυφώνας «Melissa» κατευθύνεται βορειοανατολικά, με το κύριο μέτωπο της κακοκαιρίας να αναμένεται στη Σαντιάγο ντε Κούβα εντός των επόμενων ωρών.
Ο πρόεδρος της Κούβας, Μιγκέλ Ντίας-Κανέλ, κάλεσε τους πολίτες: «Να τηρήσουν τις οδηγίες εκκένωσης και να προστατεύσουν τις οικογένειές τους».
Ήδη 500.000 άνθρωποι έχουν λάβει εντολή μετακίνησης σε ασφαλέστερες περιοχές.
Στις Μπαχάμες, οι αρχές έχουν ξεκινήσει εκκενώσεις στα νότια νησιά του αρχιπελάγους, που βρίσκονται στην αναμενόμενη πορεία του κυκλώνα.